Ingatlan Televízió
Ingatlan Televízió
további hirdetések
adatlap bezárása

Zalaegerszeg 
 

Hivatkozási szám: 5908859
Ingatlan adatai
Irányár: 43 000 000 Ft
Típus: telek
Kategória: eladó
Alapterület: -
Fűtés: -
Állapota: -
Szobák száma: -
Építés éve: -
Szintek száma: -
Részletes leírás
Az Openhouse Zalaegerszeg Ingatlaniroda kínálatában eladó a #179677 hivatkozási számú zalaegerszegi telek.

ELADÓ ÉPÍTÉSI TELEK ZALAEGERSZEG LEGEXKLUZÍVABB KÖRNYÉKÉN – AZ „ARANY HÁROMSZÖGBEN”


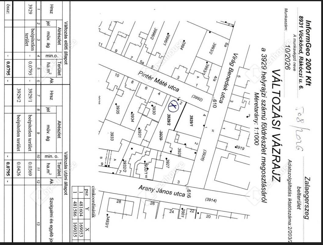
Zalaegerszeg egyik legkeresettebb, legdrágább városrészében, a Pintér Máté utcában kínálunk megvételre egy 426 m²-es, sík fekvésű építési telket, amely a jelenlegi piacon valódi ritkaságnak számít.
Ebben a körzetben szinte soha nem kerül eladó telek a piacra, ezért ez az ajánlat valódi kuriózum.


A telek rendezett, egyenes területű, jó benapozottságú, csendes, igényes lakókörnyezetben található, kimondottan jó szomszédsággal.
A városközpont gyalogosan is könnyen elérhető, minden fontos intézmény, szolgáltatás és infrastruktúra néhány percen belül rendelkezésre áll.
Ez a környék nemcsak lakóhely, hanem presztízs.


Közművek:
A telek jelenleg közművesítetlen, azonban víz, villany, gáz és csatorna az utcában rendelkezésre áll, a rákötés megoldható.


Övezeti besorolás és építési lehetőségek (Lke–11 kertvárosias lakóövezet):
A telek Zalaegerszeg helyi építési szabályzata szerint Lke–11 övezetbe tartozik, amely kertvárosias lakókörnyezetet biztosít.


Az övezetre vonatkozó főbb előírások:
– Beépítési mód: ikres beépítés
– Minimális telekterület: 350 m²
– Megengedett beépítettség:
legfeljebb 50%
– Megengedett legnagyobb homlokzatmagasság: 7,5 m
– Megengedett legnagyobb építménymagasság: 7,0 m
– Zöldfelület minimális aránya: 50%


A fenti paraméterek ideális lehetőséget biztosítanak egy igényes, kertvárosias jellegű családi ház megépítésére, értékálló környezetben.


Összefoglalva:
– kivételes elhelyezkedés
– ritka telek az „arany háromszögben”
– sík, jól használható terület
– kiváló környék, magas presztízs
– kiváló befektetés és saját célra is ideális választás


Ez a telek nemcsak egy építési lehetőség, hanem egy életstílus alapja.

Ha felkeltette érdeklődését ez az eladó zalaegerszegi telek, vagy bármely más telek és bővebb információt szeretne, keressen bizalommal.Hivatkozási szám: #179677

Az Openhouse Zalaegerszeg Ingatlaniroda tagjaként várom Önt az országos hálózatunk teljes kínálatával.

A telek vásárláshoz hitelt igényelne? Ingyenes hitelközvetítéssel segít Önnek bankfüggetlen hitelszakértőnk.

További szolgáltatásainkkal (pl. értékbecslés, energetikai tanúsítvány, jogi háttér) is segítjük Önt a vásárlásban.
Az otthon érték. Az ingatlan üzlet.
Érd.: Laska Róbert 06305295800

Referencia szám: 179677-ITV
További adatok
Telekterület: 426 m2
Kert mérete: -
Erkély mérete: -
Felszereltség: -
Parkolás: -
Kilátás: -
Egyéb extrák:  
Hirdető adatai
Hirdető neve: oh.hu - Openhouse Zalaegerszeg Ingatlaniroda
Kapcsolattartó: Laska Róbert
Hirdető telefonszáma: +36303800366
Honlap: -
 
Üzenetet küldhet a hirdetőnek, árajánlatot tehet az ingatlanra:
Az Ön neve:
Az Ön e-mail címe:
Üzenet: