Ingatlan Televízió
Ingatlan Televízió
további hirdetések
adatlap bezárása

Felcsút 
 

Hivatkozási szám: 5902534
Ingatlan adatai
Irányár: 13 500 000 Ft
Típus: telek
Kategória: eladó
Alapterület: 979 m2
Fűtés: -
Állapota: -
Szobák száma: -
Építés éve: -
Szintek száma: -
Részletes leírás
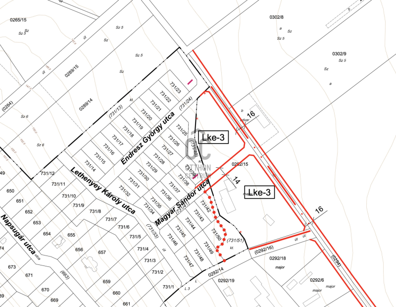
Felcsút egyik nyugodt, rendezett kertvárosias részén kínálunk megvételre egy 979 m² nagyságú belterületi építési telket, amely ideális választás mind családi ház építéséhez, mind értékálló befektetéshez.
A telek a helyi építési szabályzat szerint kertvárosias lakóövezetben (Lke-3) helyezkedik el. Az övezet kifejezetten szabadon álló beépítésre alkalmas, így a jövőbeni épület körül tágas kert, privát élettér alakítható ki.
A telek főbb jellemzői:

-Telekterület: 979 m²
-Övezeti besorolás: Lke-3 – kertvárosias lakóövezet
- Zöld, családias környezet
- Lakóépület elhelyezésére alkalmas (a HÉSZ előírásainak megfelelően)
- Jó megközelíthetőség, rendezett környezet

A kertvárosias övezet lehetőséget biztosít legfeljebb kétlakásos lakóépület, valamint a lakófunkciót kiszolgáló kiegészítő építmények (garázs, tároló) elhelyezésére. Az alacsony építménymagasság és a magas zöldfelületi arány garantálja a világos, élhető és értékálló lakókörnyezetet.
Felcsút kiváló infrastruktúrával, folyamatosan fejlődő környezettel rendelkezik, így a telek hosszú távon is jó befektetés, akár saját otthon építésében, akár értéknövelő fejlesztésben gondolkodik.
További adatok
Telekterület: 979 m2
Kert mérete: -
Erkély mérete: -
Felszereltség: -
Parkolás: -
Kilátás: -
Egyéb extrák:  
Hirdető adatai
Hirdető neve: Otthon Centrum
Kapcsolattartó: Szűcs Sándor Mátyás
Hirdető telefonszáma: +36 70 388 5321
Honlap: -
 
Üzenetet küldhet a hirdetőnek, árajánlatot tehet az ingatlanra:
Az Ön neve:
Az Ön e-mail címe:
Üzenet: