Ingatlan Televízió
Ingatlan Televízió
további hirdetések
adatlap bezárása

Balatonkenese 
 

Hivatkozási szám: 5850177
Ingatlan adatai
Irányár: 29 900 000 Ft
Típus: telek
Kategória: eladó
Alapterület: 4 313 m2
Fűtés: -
Állapota: -
Szobák száma: -
Építés éve: -
Szintek száma: -
Részletes leírás
Mint egy balatoni tájkép, úgy tárul Ön elé egyszerre a Balaton és az azt körbe ölelő dombok és erdők látványa!

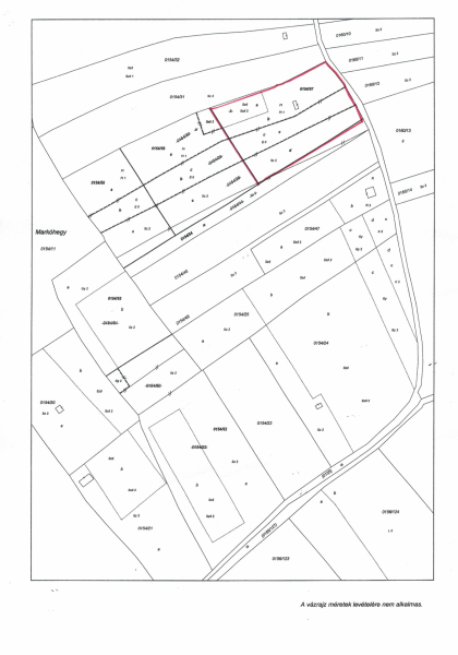
Megvételre kínáljuk Balatonkenese egyik különleges, Natura 2000-es védett erdősáv mellett elterülő, a Balatonra és a környező dombvidékre is tájpanorámás, 4313 m2 kiterjedésű önálló telket, amit részben egy hangulatos akácos liget borít.

A telek 2,3 km-re a Balaton-parttól. A felépítmény a térképen FELTÜNTETETT, DE FELÚJÍTANDÓ. Ez esetben NEM SZÜKSÉGES szőlőt vagy gyümölcsöst telepÍteni.

A vizet a már meglévő fúrt kút biztosítja, az áram bevezetése folyamatban van, de jelenleg napelemes szigetrendszer kiépítésével oldható meg.
120 m alapterületű \\\"gazdasági épület\\\" építhető a telekre, 4 méteres építménymagasság mellett + szőlő vagy gyümölcsös telepítése esetén. A terület negy része már fával betelepített. Mindemellett számos épÍtési engedélyhez nem kötött felépÍtmény helyezhető el az ingatlanon: Pl. 35 m2-t meg nem haladó épület, magasles, fóliasátor, üvegház, napenergia-kollektor épÍtményen vagy épÍtményben való elhelyezése, vadetető, erdei épÍtmény, terepszinttől számÍtott 5 métert nem meghaldó kilátó, pince épÍtése.

A telekhez további parcellák vásárolhatók egészen 1,7 hektárig.
A birtokrendszer 5 egységes. Összesen 4 önálló telekből és 1 útból tevődik össze.
Nyilvántartásban átvezetett, tehermentes telkek magánszemélytől!

Amennyiben felkeltette érdeklődését ez az egyedi lehetőség, keressen mielőbb a megadott elérhetőségeken, akár hétvégén is!
További adatok
Telekterület: 4 313 m2
Kert mérete: -
Erkély mérete: -
Felszereltség: -
Parkolás: -
Kilátás: -
Egyéb extrák:  
Hirdető adatai
Hirdető neve: Otthon Centrum
Kapcsolattartó: Lukácsné Antal Ildikó
Hirdető telefonszáma: +36 70 716 8281
Honlap: -
 
Üzenetet küldhet a hirdetőnek, árajánlatot tehet az ingatlanra:
Az Ön neve:
Az Ön e-mail címe:
Üzenet: